‘Best Playing Pony’
WITH JEFFREY WATKINS
A 12-year-old thoroughbred mare named Zena is happily galloping her way to success on the polo field after successful treatment for a career-ending condition—even being named Best Playing Pony in a regional tournament. Her remarkable full recovery demonstrates how AO VET advances veterinary surgery to improve patient lives.
Known for her speed, quick acceleration, and lateral movement on the polo field, Zena was in no shape to play polo when she was referred to the Equine Orthopedic Surgery Service at Texas A&M University’s Veterinary Medicine Teaching Hospital. Owned and ridden by a veteran player at the Houston Polo Club, Zena had developed an arthritic condition of her pastern joint—between the middle and proximal phalanges—of her left hind limb. On top of that, she had sustained an acute injury that compounded her lameness to the point she could barely put any weight on the affected leg.
Yet, less than a year after being treated by equine orthopedic specialist Dr Jeffrey P Watkins—current AO VET North America Chair—and his team, Zena was named Best Playing Pony at the US Polo Association’s 2018 Southwestern Regional Classic tournament in May 2018.
Potentially life-ending problem
Since fall 2016, Zena had been exhibiting evidence of reduced performance on the polo pitch and had been turned out to pasture to rest and rehabilitate over the winter. During that time, Zena suffered an acute injury and her regular veterinarian referred her to Watkins who nearly three decades ago began applying AO principles and techniques to treat the very problem Zena had.
“When Zena first came to us in March 2017, she could barely put weight on her left hind leg,” said Watkins, a Texas A&M professor of veterinary medicine and AO VET faculty member since the mid-1980s. “She was in severe pain and had not only a career-ending problem but a potentially life-threatening problem, because horses can’t tolerate being that lame for very long. They cannot survive on three legs.”
Polo, the oldest of equestrian sports, makes extraordinary demands on the equine musculoskeletal system, Watkins said.
“These horses have to run at full speed, get to the ball, and be able to turn on a dime,” he explained. “They have to be able to track the ball, change directions abruptly, then go again from start to a full-speed gallop—all while keeping the rider in the right position to strike the ball with the mallet. Polo really requires a unique set of athletic skills for the horse due to the speeds of 25 to 30 miles per hour (40 to 48 kilometers per hour), abrupt directional changes, and sudden starting and stopping. And these horses usually play for a full seven-minute chukker or playing period.”
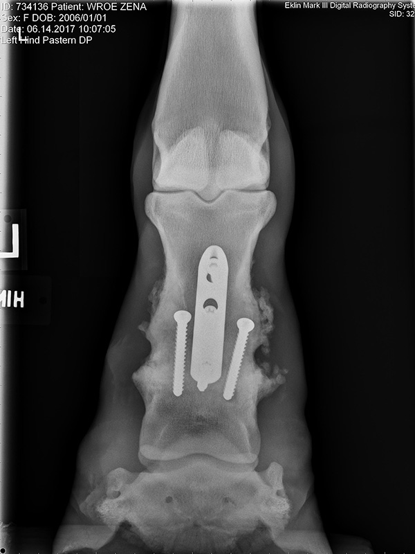
As a patient at Texas A&M’s Equine Orthopedic Surgery Service, Zena could not have been in better hands. The procedure that restored her quality of life is described in the November 2006 Equine Veterinary Journal article, co-authored by P.M. Knox and Watkins, titled, “Proximal interphalangeal joint arthrodesis using combination plate-screw technique in 53 horses (1994–2003).
Prior to the study’s publication, Watkins had begun investigating a modified technique for arthrodesis of the pastern joint. That technique accomplished proximal interphalangeal (PIP) joint arthrodesis using a dorsally placed dynamic compression plate (DCP) in conjunction with two abaxially placed 5.5 mm cortex screws applied in lag fashion across the joint. The technique has continued to evolve over the years and today is usually performed using a locking compression plate (LCP) rather than a DCP. In Zena’s case, during her surgery in March of 2017, the pastern joint was exposed, all remaining articular cartilage was removed, the joint was realigned to its normal anatomical position, and a 3-hole LCP interphalangeal plate (PIP plate) was applied in conjunction with transarticular, 5.5 mm cortex screws placed in lag fashion. The PIP plate, a special purpose 3-hole locking compression plate, was designed by the AO Technical Commission’s Veterinary Expert Group (VEEG), specifically for this purpose. Watkins was chairperson of the VEEG at the time the PIP was developed.
For Zena—and countless other horses who’ve undergone the same procedure—the outcome has been a fast return to full function.
“I was surprised at how quickly Zena regained complete soundness. She is a perfect example of how applying AO Principles and techniques improves the lives of patients and has allowed us to move equine orthopedic surgery forward,” Watkins explained. “This technique gave her immediate relief from acute pain and has returned her to an even better-than-before functional level. I think her prospects are great. Now that her pastern joint is fused, she can continue to be athletic — and she won’t reinjure that joint because it no longer exists.”
Watkins said Zena’s recovery, with her returning to work as a fully functioning polo pony, is an excellent example of the One Medicine approach to patient care and how applying AO principles can improve outcomes for the benefit of the patients and their owners.
Relieving suffering and returning the patient to its intended function, ensuring that it is has a pain-free, productive life, is the goal of all AO trained surgeons, regardless of specialty,” he said. “Working horses clearly love what they are doing and have an instinct to perform, just the same as a human athlete. Our goal is to help them return to performance following an injury such as this.”



